Hurricane Beryl Intensifies to a Category 4 Storm
Hurricane Beryl, an unusual early-season storm that formed late Friday, intensified into a Category 4 storm on Sunday, with forecasters warning it would continue to rapidly gain strength as it moved west toward the Caribbean Sea.
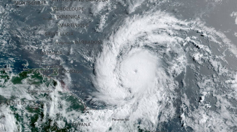
The first hurricane of the 2024 season, Beryl is expected to bring “life-threatening winds and storm surge” to the Windward Islands, southeast of Puerto Rico and north of Venezuela, the National Hurricane Center said on Sunday.
By midday Sunday, sustained winds were reaching 130 miles per hour, forecasters said, making it an “extremely dangerous” Category 4 hurricane, and it was expected to continue strengthening throughout the day.
A hurricane warning was issued for Barbados, St. Lucia, St. Vincent and the Grenadines, Grenada and the island of Tobago. The island of Martinique was under a tropical storm warning, while Dominica and Trinidad were under a tropical storm watch.
“Beryl has strengthened to an extremely dangerous category 4 hurricane,” the National Hurricane Center said Sunday morning, “life-threatening winds and storm surge expected in the Windward Islands beginning early Monday morning.”
When it intensified on Sunday, Beryl became the earliest in a season a storm has strengthened to a Category 4 hurricane in the Atlantic. The record earliest Category 4 hurricane was Hurricane Dennis on July 8, 2005.
Hurricanes in the Atlantic Ocean are now twice as likely to grow from a weak storm into a major Category 3 or higher hurricane within just 24 hours, according to a study published last year.
Devastating winds from Beryl will occur where the eye wall, the area that surrounds the eye of a hurricane, scrapes across the islands. Across the higher elevations of the hills and mountains of the islands, the winds might be even stronger.
Beryl is the third earliest major hurricane to ever form in the Atlantic, according to Philip Klotzbach, an expert in seasonal hurricane forecasts at Colorado State University. The only hurricanes to have formed earlier in a calendar year were Alma on June 8, 1966, and Audrey on June 27, 1957.
Both made landfall on the U.S. coastline in the Gulf of Mexico: Alma near St. Marks, Fla., and Audrey near Port Arthur, Texas.
Beryl became a tropical storm late on Friday when its sustained winds reached 39 miles per hour. At 74 m.p.h., a storm becomes a hurricane.
Here are key things to know about the storm.
Swells created by Beryl are expected to reach the Windward and southern Leeward Islands by late Sunday, forecasters said, and are likely to cause life-threatening surf and rip current conditions.
The storm is expected to cross the islands of the eastern Caribbean as early as Sunday night before traversing the central Caribbean Sea through the middle of the week.
Three to six inches of rain, hurricane-force winds and dangerous storm surge are possible in the eastern Caribbean Islands, including Barbados, and St. Vincent and the Grenadines Sunday into Monday.
Countries prepare for Beryl.
The authorities in Barbados, St. Vincent and the Grenadines, and Grenada have urged residents to prepare as the hurricane approached.
“This is not a drill, this is serious,” said Dickson Mitchell, the prime minister of Grenada, which is forecast to receive approximately three months’ of rain within 12 hours.
Ralph Gonsalves, the prime minister of St. Vincent and the Grenadines, said that two inches of consistent rain usually results in flooding in the capital of Kingstown, and that “four inches will undoubtedly flood the city.”
In Barbados, which was hosting an estimated 36,000 visitors for the T20 Cricket World Cup final between India and South Africa held on Saturday, long lines stretched out of supermarkets and gas stations as residents and visitors stocked up on bottled water and tinned food.
This hurricane season is expected to be busy.
Forecasters have warned that the 2024 Atlantic hurricane season could be much more active than usual.
In late May, the National Oceanic and Atmospheric Administration predicted 17 to 25 named storms this year, an “above-normal” number and a prediction in line with more than a dozen forecasts earlier in the year from experts at universities, private companies and government agencies.
Hurricane seasons produce 14 named storms, on average.
The seasonal hurricane outlooks were notably aggressive because forecasters looking at the start of the season saw a combination of circumstances that didn’t exist in records dating back to the mid-1800s: record warm water temperatures in the Atlantic Ocean and the potential formation of the weather pattern known as La Niña.
La Niña occurs in the Pacific because of changing ocean temperatures, and it affects weather patterns globally.
When it is strong, it typically provides a calm environment in the Atlantic. This allows storms to develop more easily and to strengthen without interference from wind patterns that might otherwise keep them from organizing.
Johnny Diaz, John Yoon, John Keefe, Kenton X. Chance, Julius Gittens, Linda Straker and Yan Zhuang contributed reporting.


